
O futuro do clima
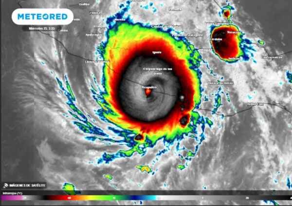
A cientista do clima Ruth Cerezo-Mota compartilha um sentimento de desespero diante dos desastres naturais exacerbados pelas mudanças climáticas. Após eventos extremos como o Furacão Otis, ela esperava uma resposta governamental mais alinhada com as advertências científicas. No entanto, a realidade é outra: Cerezo-Mota prevê um aumento de temperatura global de 3°C, superando a meta de 1,5°C estabelecida internacionalmente e trazendo sofrimento para bilhões.
Em uma conferência em Cingapura, a conexão entre o aquecimento global e desastres imediatos tornou-se clara para ela, levando-a a um estado de depressão. Apesar disso, ela persiste em seu trabalho, motivada pela necessidade de informar os tomadores de decisão.
Em Mérida, onde reside, as temperaturas extremas são uma realidade palpável, com máximas de 47°C e mínimas noturnas de 38°C, criando condições insuportáveis. Ondas de calor têm resultado em mortes, e Cerezo-Mota expressa frustração com a inação que poderia ter prevenido tais tragédias.
O consenso sombrio entre os principais especialistas climáticos: a maioria acredita que o aquecimento global ultrapassará 2,5°C, com quase metade prevendo mais de 3°C. Apenas 6% mantêm esperança na meta de 1,5°C. Os cientistas descrevem um futuro aterrorizante, com fome, migração em massa e conflitos.
Os impactos da crise climática
Os impactos da crise climática já são profundos, com a temperatura média global atualmente 1,2°C acima dos níveis pré-industriais. O Painel Intergovernamental sobre Mudanças Climáticas (IPCC) reúne milhares de especialistas para avaliar os impactos futuros, que dependem das ações políticas, financeiras, tecnológicas e sociais.
Os especialistas do IPCC, considerados as pessoas mais informadas sobre o clima, têm expectativas sombrias para o aumento da temperatura global. Lisa Schipper prevê um aumento de 3°C, enquanto outros expressam sentimentos de medo e frustração. A falta de vontade política e interesses corporativos são apontados como barreiras significativas para a ação climática.
A emergência climática já está aqui, e um mundo mais quente traz riscos desconhecidos. A sociedade global interconectada significa que os impactos climáticos podem se propagar globalmente, afetando preços de alimentos, cadeias de suprimentos e migração.
Necessário solidariedade global
Os cientistas enfatizam a necessidade de solidariedade global e cooperação para superar a crise. A desigualdade crescente e o consumo excessivo em países ricos são vistos como obstáculos significativos. Ainda assim, alguns especialistas, como Maisa Rojas e Aïda Diongue-Niang, mantêm uma visão mais otimista, acreditando em ações mais ambiciosas para limitar o aquecimento global a 2°C ou menos.
Por que os especialistas mantêm uma visão positiva sobre o clima futuro? A resposta reside na aceleração da adoção de tecnologias sustentáveis. Energias renováveis e veículos elétricos lideram essa transformação, beneficiando-se de custos decrescentes e vantagens adicionais, como a melhoria da qualidade do ar. Lars Nilsson, da Universidade de Lund, destaca: “O custo para preservar o clima está diminuindo.”
Além disso, a urgência em salvaguardar as comunidades dos impactos climáticos — calor extremo, inundações e secas — pode ser vista sob uma ótica positiva. Mark Pelling, da University College London, observa: “Esses desafios trazem oportunidades empolgantes. Ao nos adaptarmos às mudanças climáticas, podemos evoluir para um estilo de vida mais justo e inclusivo.”
Nesse cenário, a adaptação climática avança em conjunto com o combate à pobreza e vulnerabilidade, promovendo habitações de qualidade, acesso a água e energia limpas, alimentação saudável, práticas agrícolas sustentáveis e redução da poluição atmosférica.
A catástrofe pode ser prevenida
Contudo, o otimismo é cauteloso. “O cenário mais catastrófico pode ser prevenido”, afirma Michael Meredith, do British Antarctic Survey. “Está em nossas mãos moldar um futuro climaticamente mais ameno do que o previsto.” Ele alerta, no entanto, para a necessidade iminente de mudanças sociais profundas para evitar sofrimentos e danos significativos.
Elena López-Gunn, da Icatalist, acredita em “pontos de inflexão social”, onde pequenas alterações sociais podem desencadear grandes iniciativas climáticas. Ela também reconhece a existência de “pontos de inflexão climática física”.
No México, a incerteza de Cerezo-Mota reflete um sentimento global: “É incerto o que motivará aqueles no poder a agir.” Contudo, ao observar o ímpeto das novas gerações, ele encontra motivos para esperança.















Você precisa fazer login para comentar.